Glasfaserausbau in Lehrensteinsfeld
Wichtige Informationen zum Glasfaserausbau in Lehrensteinsfeld
Im Zuge des flächendeckenden Glasfaserausbaus in unserer Gemeinde informiert die Gemeindeverwaltung regelmäßig über den jeweiligen Baufortschritt. Seit dem 5. Mai 2025 findet der großflächige Glasfaserausbau in unserer Gemeinde statt. In den nächsten Wochen wird die Baufirma Dervishaj aus Heilbronn-Böckingen in mehreren Straßenabschnitten der Gemeinde tätig sein.
Wir möchten alle Anwohner darum bitten, sich auf mögliche Verkehrsbeeinträchtigungen und teilweise
Einschränkungen im öffentlichen Raum einzustellen. Das Bauunternehmen arbeitet mit Hochdruck daran, die Beeinträchtigungen so gering wie möglich zu halten.
Die Fläche beim Spielplatz Steinackerstraße dient als Baustellenlager und wird nach Ende der Bauarbeiten wieder in den Ursprungszustand zurückgebaut.

Aktueller Bauabschnitt
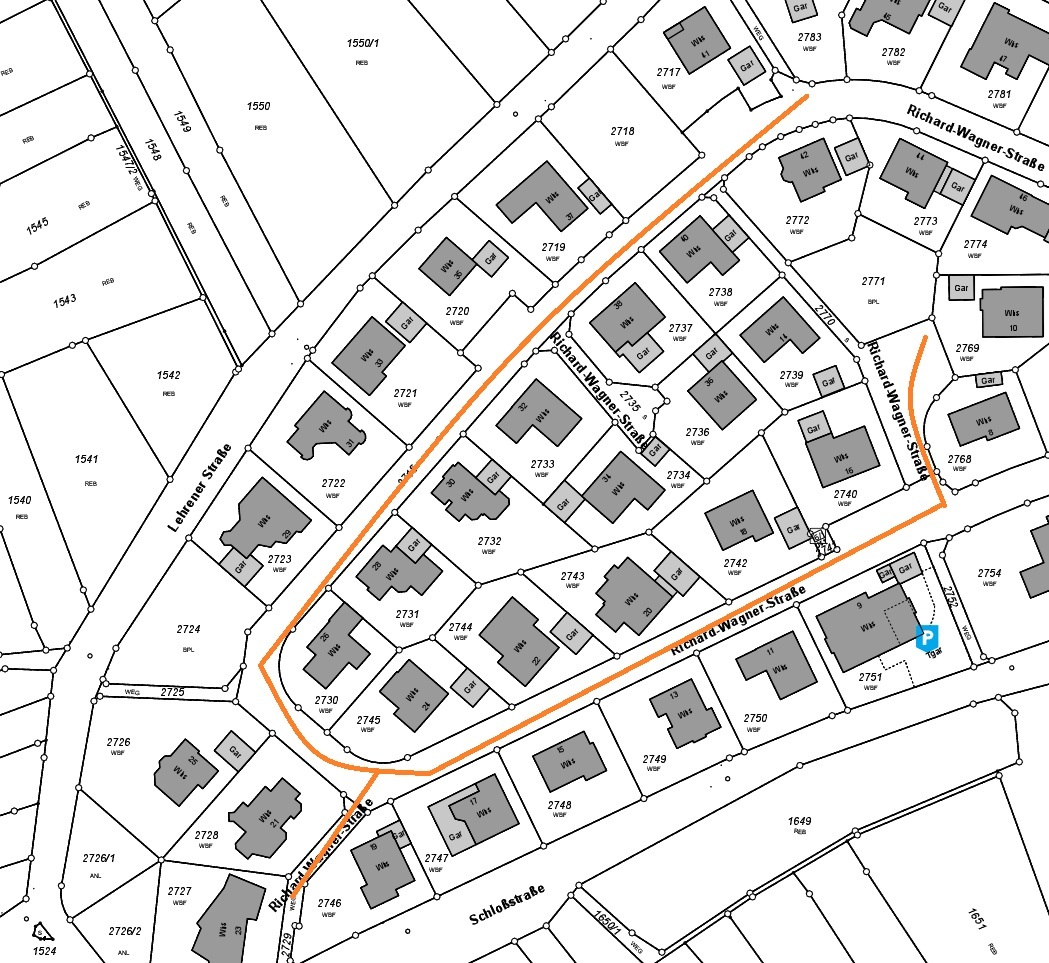
Geplanter Zeitraum: 19.01. - 31.01.2026
Folgende Straßen sind betroffen:

Aktueller Bauabschnitt
Geplanter Zeitraum: 26.01. - 20.02.2026
Folgende Straßen sind betroffen:
Was bedeutet das für Sie?
- Kurzfristige Verkehrsbehinderungen oder Umleitungen in den betroffenen Straßen
- Mögliche Lärmbelästigungen durch Bauarbeiten
- Zugang zu Wohnhäusern kann eingeschränkt sein
- Die Reihenfolge der Arbeiten innerhalb der genannten Straßenabschnitte kann sich kurzfristig ändern
Bitte unterstützen Sie einen reibungslosen Bauablauf:
Parken Sie Ihr Auto mit genügend Abstand zur Baustelle
Bitte beachten Sie, dass Ihre Parkplätze/Einfahrten für ca. 2 Tage nicht befahrbar sind
Wir danken Ihnen für Ihr Verständnis!